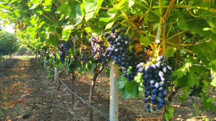
În acest an, producătorii din Republica Moldova vor recolta estimativ 230 mii de tone de struguri pentru procesare. Informațiile au fost prezentate astăzi de secretarul de stat al Ministerului Agriculturii și Industriei Alimentare, Andrian Digolean, care a oferit detalii despre prețul de comercializare a strugurilor, transmite moldpres.md.
Oficialul a spus că în centrul și sudul țării se desfășoară campania de recoltare a strugurilor albi și roșii.
„Roada este destul de bună. La mijlocul lunii iulie, a fost preconizată o recoltă 260 mii de tone de struguri. Urmare a crizei de precipitații din anii 2022-2023, recoltă va fi de 230 mii de tone. Starea fitosanitară a strugurilor este destul de bună. Vom avea struguri buni și vinuri bune”, a spus secretarul de stat.
Andrian Digolean s-a referit și la prețul estimativ de comercializare a strugurilor.
„Anterior, estimativ a fost vociferat prețul de 6,5 lei per kg. Vizitând companiile vitivinicole, am văzut că prețurile de achiziție variază în funcție de soi, de destinație, de calitate, de structura fizico-chimică. Toate aceste componente vor duce la achiziționarea strugurilor la prețuri diferite. În prezent, se operează cu prețuri ce variază între 4,5 – 5,5 lei per kg. Am vizitat procesatori care au stabilite contracte de lungă durată de achiziție a strugurilor și prețurile sunt de 5 – 5,5 lei per kg”, a spus Digolean.
Secretarul de stat de la MAIA a mai adăugat că procesul de achiziție a strugurilor de la viticultori decurge într-un ritm normal.
„MAIA, împreună cu Oficiul Național al Viei și Vinului, accelerează acest proces. Cei care livrează și comercializează struguri la unitățile vitivinicole pot să vină să depună copia buletinului de identitate, titlul de proprietate al plantațiilor sau contractul de arendă și acest lucru le permite cu ușurință să comercializeze strugurii, iar procesatorii transmit aceste acte la Oficiul Viei și Vinului și astfel vom accelera procesul de înregistrare a plantațiilor viticole în Registrul viei și vinului”, a conchis Digolean.
Potrivit datelor statistice, în șapte luni ale anului curent, s-a exportat 71 mln de litri de vin, cu 34% mai mult decât în 2022, în valoare de 106 mln de dolari.








Comentarii