Petele roșii sau maro pe frunzele coacăzului (atât roșu, cât și negru) sau agrișului apar de obicei din cauza unor boli fungice, dar pot fi și rezultatul unor carențe de nutrienți, atacul insectelor sau condiții de stres.
Dacă petele roșii pe frunzele de coacăz apar primăvara sau vara, există o mare probabilitate ca arbuștii să fi fost atacați de boli și dăunători.
Atacul păduchilor – dăunătorul numărul 1
Dacă pe frunzele de coacăz apar pete roșii du deformațiuni (umflate), iar lăstarii tineri sunt îndoiți, este probabil ca planta să fi fost atacată de păduchi, care sug sucul din ea.
Păduchele galben al agrișului și coacăzului (Cryptomyzus ribis) este una dintre principalele specii dăunătoare.
Ca urmare a atacului, frunzele de coacăz sunt acoperite cu pete roșii-maronii și umflate. Limbul se deformează, frunzele tinere parcă îmbătrânesc, iar plantele se opresc din creștere.
Colonii (larve) ale acestei insecte pot fi găsite cu ușurință pe partea inferioară a frunzelor (în special pe frunzele tinere) și, de asemenea, pe lăstarii unde dăunătorul iernează.
Femelele aripate ale afidelor zboară spre alte plante din grădină și trăiesc acolo până la sfârșitul verii.
După aceea, se întorc din nou la arbuștii de coacăz, depun ouă pe aceștia (în scoarță, unde sunt marcați mugurii) și primăvara distrug din nou arbuștii.
Cum să luptați cu afidele la coacăz?
Lăstarii puternic atacați pot fi tăiați și înlăturați cu tot cu insecte. Dacă observați afide pe coacăz în momentul coacerii fructelor, nu utilizați preparate chimice.
Pentru a distruge ouăle de afide, arbuștii trebuie udați cu apă sub jet puternic sau tratați cu insecticid înainte de înmugurire.
Un control bun al afidelor asigură uleiul de neem și săpunul de potasiu, având acțiune de contact, frunzele trebuie pulverizate și pe partea superioară și inferioară, pentru ca produsul să ajungă pe dăunători.
Afidele sunt distruse de diferite insecte utile, cum ar fi buburuzele, crizopele, viespile parazite. Pentru ca aceste insecte să vină mai des în parcela cu coacăz, plantați plante nectarifere.
Antracnoza coacăzului
Antracnoza este o boală fungică frecventă care afectează frunzele coacăzului (atât roșu, cât și negru), fiind cauzată de ciuperca Drepanopeziza ribis.
Apare în special în condiții de umiditate ridicată și temperaturi moderate.
Primele semne apar pe frunzele mature, sub formă de pete mici, circulare, de culoare maro-închis sau brun-roșcat.
Pe măsură ce boala evoluează, petele se unesc și pot duce la îngălbenirea și căderea prematură a frunzelor.
Sporii ciupercii iernează în frunzele căzute și se răspândesc rapid în vreme ploioasă. Coacăzul este rareori afectat în verile calde și uscate.
Prevenire și combaterea antracnozei coacăzului
- Igienă culturală: adunarea și arderea frunzelor căzute, tăieri pentru aerisirea tufei.
- Tratamente preventive: cu fungicide pe bază de cupru (ex. zeamă bordeleză) primăvara devreme și după recoltare.
- Tratamentele cu fungicide de obicei nu este practicată doar pentru controlul acestei boli.
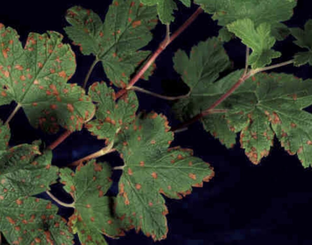
Pete portocalii pe partea inferioară a frunzelor de coacăz – rugina
Dacă pe partea inferioară a frunzelor de coacăz apar pernuțe roșietice, pline cu o masă de spori sub formă de perii columnare, iar pe partea superioară a frunzelor din partea opusă acestor formațiuni apar pete roșii, aceasta indică rugina coacăzului (Cronartium ribicola Ribes).
Mai târziu, toate frunzele pe verso sunt aproape complet acoperite cu spori portocalii ca „peria” și încep să cadă prematur, iar lăstarii se micșorează și par puțin dezvoltați.
Pete maro sau maronii pe frunzele de coacăz
Dacă observați mici formațiuni maro înconjurate de o margine galbenă pe partea superioară a frunzelor de coacăz, înseamnă că coacăzul s-a îmbolnăvit de rugina cauzată de Puccinia ribesii caricis.
Cu timpul, în locul umflăturilor apar coloane de culoare galbenă și roșie. Treptat, întreaga frunză devine acoperită parcă cu rugină pufoasă.
Măsuri de combatere a ruginii:
- Pentru a opri dezvoltarea acestei boli, tăiați ramurile infectate la 5-10 cm sub zona afectată la începutul primăverii. Acest lucru va îmbunătăți circulația aerului și va împiedica răspândirea infecției.
- Toamna, greblați și îndepărtați toate frunzele căzute și afânați solul din apropierea arbuștilor.
- Realizați preventiv tratamente cu Zeamă bordeleză de 1%: primăvara devreme, după înflorire și după recoltare.
Făinarea la coacăz și agriș
Făinarea la coacăz și agriș este o boală produsă de ciuperca Sphaerotheca mors-uvae (făinarea americană).
Dacă pe frunzele de coacăz apare o placă albă pulverulentă, care în timp capătă o culoare ruginie, să știți că este vorba de o boală, egală cu otrăvirea plantei.
Boala poate apărea pe tot parcursul sezonului de vegetație. Adesea, marginile frunzelor devin maro până la negru. Infecția severă încetinește creșterea lăstarilor și afectează negativ recolta.
Măsuri de control:
- Respectați distanța recomandată de plantare a agrișului și coacăzului, nu îndesiți plantele – o distanță suficientă dintre plante permite aerisirea acestora, evitarea stagnării umidității (făinarea agrișului este favorizată de umiditatea sporită).
- Optați pentru soiuri tolerante sau rezistente la făinare (de exemplu Black Down, Meitgo, Kantata, Tsema, Slitsa, Victoria, Record 35).
- Înlăturați și distrugeți organele atacate ale plantei (frunzele, lăstarii pe suprafețe mici pot fi colectați, arși. Boala poate ierna în frunzele uscate căzute pe sol).
- Monitorizați situația din câmp și realizați tratamente preventive.
- Realizați tăierile conform recomandărilor, ținând cont de necesitățile plantei. Detalii despre Tăierile la agriș – când și cum se realizează corect și Tăierile la coacăzul negru, roșu. Când și cum se realizează.
- Efectuați tratamente la încheierea perioadei de vegetație și în repausul vegetativ (iernarea ciupercii are loc și prin miceliul localizat în lăstari și muguri).
Citiți mai multe despre făinarea la coacăz și agriși aici.














Comentarii