În vestul României și-au făcut apariția viespea neagră (Hoplocampa minuta) și viespea galbenă a prunului (Hoplocampa flava), unii dintre cei mai importanți dăunători ai prunului. Astfel, acești dăunători vor fi observați în perioada următoare și în Moldova.
Ambele specii sunt foarte păgubitoare, totuși, viespea neagră are o intensitate mai mare a atacului. În acest articol ne vom concentra pe măsurile de combatere disponibile și, cel mai important, când trebuie de intervenit pentru a obține rezultate.
Viespea neagră și viespea galbenă a prunului
Adulții au aproximativ 4–5 mm, respectiv 6 mm lungime, și sunt de culoare neagră și galben-chihlimbar (conform denumirii speciilor).
Larvele, de culoare alb-gălbuie, au zece perechi de picioare, capsulă cefalică brună și ajung la 9–11 mm lungime.
Viespile prunului zboară în perioada înfloririi prunului, iar durata zborului și depunerea ouălor depind de condițiile meteorologice.
Fiecare femelă depune până la 70 de ouă, individual, în crăpături realizate la vârful caliciului florii sau pe fructele tinere (de la 4 mm dimensiune), în mici cavități.
După aproximativ zece până la douăsprezece zile, larvele eclozează și pătrund în fructele tinere, unde se hrănesc cu pulpa și sâmburele timp de aproximativ nouă zile, după care atacă fructele vecine.
Pe parcursul dezvoltării, fiecare larvă poate distruge până la cinci fructe, care cad prematur. După patru până la șase săptămâni de dezvoltare și patru năpârliri, larva ajunsă la ultimul stadiu cade la sol împreună cu ultimul fruct infestat și iernează într-un cocon brun, la o adâncime de 10–15 cm în sol.
Primăvara are loc împuparea, iar după două săptămâni apar din nou adulții, chiar înainte de începutul înfloririi plantelor gazdă. Durata de viață a adulților este de aproximativ două săptămâni. Se dezvoltă o singură generație pe an.
*Viespea prunului apare la speciile sâmburoase, în special la prun și porumbar, și mai rar la cais și cireș (Prunus avium).
Simptomele atacului
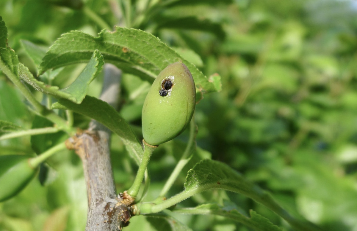
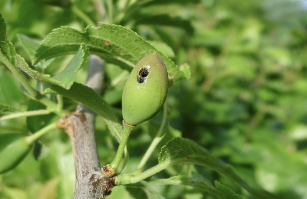
În cazul infestării cu viespea prunului, fructele, care abia ating 2 cm și sunt încă verzi, prezintă una sau două galerii de pătrundere, astupate cu excremente negre, umede.
În fructele atacate, sâmburele și pulpa sunt distruse. Uneori pot fi observate larvele, care emană un miros intens specific insectelor. Fructele afectate cad prematur din pom.
Larvele viespei prunului determină căderea prematură a fructelor prin hrănirea în interiorul acestora. Infestarea poate duce la pierderi totale de recoltă.
Cum prevenim sau reducem atacul
O măsură preventivă constă în alegerea unor soiuri mai puțin sensibile în zonele cu infestare (de exemplu, soiuri cu înflorire timpurie sau târzie).
Dacă infestarea este depistată, fructele atacate trebuie scuturate periodic din pom, colectate și distruse, în special în grădini mici și gospodării.
Pentru prognoza apariției și monitorizarea intensității zborului adulților, se pot amplasa capcane adezive albe în coroana pomilor cu câteva zile înainte de înflorire.
Acestea trebuie verificate de mai multe ori pe săptămână. Dacă numărul capturilor este ridicat, acestea pot fi utilizate și pentru capturare în masă, reducând astfel gradul de infestare.
Capcanele trebuie utilizate doar în perioada de zbor a viespilor (aproximativ o săptămână înainte până la o săptămână după înflorire), pentru a proteja organismele utile.
Pragul economic de dăunare este de patru până la opt depuneri de ouă la 100 de calicii de fruct sau 2–6% fructe tinere infestate.
Când se fac tratamentele – „graba strică treaba”, momentul optim e decisiv
În ciuda faptului că veți observa viespile în perioada înfloririi, tratamentul făcut în această perioadă se potrivește perfect cu proverbul „graba strică treaba”.
În perioada înfloririi, adulții se hrănesc cu polen și nectar și se împerechează și apoi depun ouăle, respectiv, nu produc daune economice directe. Nu este recomandată stropirea cu insecticid în această perioadă, mai ales că acestea vor produce daune majore polenizatorilor.
După aproximativ șapte până la douăsprezece zile de la depunerea ouălor, larvele eclozează și pătrund în fructele tinere. Astfel, momentul optim pentru tratamente se consideră după înflorit.
Primul tratament este recomandat la sfârșitul înfloritului, BBCH 69 (atunci când toate petalele s-au scuturat).
Ce tratamente biologice se pot utiliza
La nivel de practică, strategiile bio funcționează mai bine când sunt integrate, nu tratate ca o singură intervenție miraculoasă.
În fenofaza de cădere a petalelor, se poate face tratamentul cu Quassia amara (0,2%, 3–4 l per ha), un extract botanic folosit în pomicultura ecologică.
Pentru prun, datele directe vin din Norvegia, unde cercetători care au raportat în cadrul ISHS au efectuat două teste împotriva viespii prunului și au concluzionat că quassia a avut efecte similare cu pesticidele utilizate în producția comercială.
O altă metodă este utilizarea nematozilor entomopatogeni. Trei specii au demonstrat eficiență și anume Steinernema feltiae, S. carpocapsae și Heterorhabditis bacteriophora.
Ținta nu sunt adulții din coroană și nici larvele aflate în fruct, ci larvele ajunse în sol și stadiile aflate în cocon. Acolo nematozii pătrund în corpul larvei și o distrug prin intermediul bacteriilor simbiotice.
Momentul aplicării este critic. Există două ferestre utile:
- Prima este după căderea fructelor infestate, când larvele coboară în sol pentru împupare. În practică, aceasta corespunde perioadei de după scuturarea fiziologică a fructelor (mai–iunie). Atunci o parte importantă din populație este expusă în stratul superficial al solului.
- A doua fereastră, considerată mai eficientă în unele studii, este înainte de apariția adulților primăvara, când larvele se află încă în sol, în cocon. Aplicarea se face devreme, înainte de înflorire, dacă solul permite intervenția.
Tehnologia de aplicare este decisivă. Nematozii se aplică pe sol, nu pe frunziș. Se utilizează soluții apoase, distribuite uniform în zona proiecției coroanei, acolo unde au căzut fructele infestate.
Volumul de apă trebuie să fie suficient pentru a pătrunde în primii 5–10 cm de sol. În practică, se folosesc volume mari, similare unei udări.
Pentru tratamente cu produse de sinteză chimică se utilizează produse pe bază de deltametrin și lambda-cihalotrin. Lista completă a produselor omologate poate fi vizualizată pe pesticide.md.











Comentarii